Monster typhoon in the Pacific Ocean is bearing down on group of remote US islands - AP News
Quick Insights
The Bottom Line
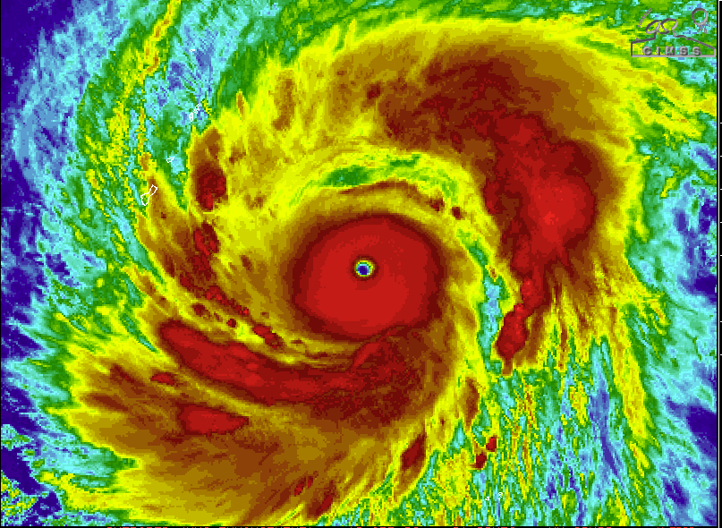
A monster typhoon in the Pacific Ocean is threatening remote U.S. islands.
How This Affects You
Residents on remote U.S. islands in the Pacific face immediate threats to their safety and property from the approaching typhoon.
AI Summary
A monster typhoon in the Pacific Ocean is currently bearing down on a group of remote US islands. This severe weather event poses a significant threat to the inhabitants and infrastructure of these distant American territories. The approaching typhoon necessitates preparations for extreme winds, heavy rainfall, and potential storm surge in the affected region. The US government will likely need to coordinate emergency response and aid efforts for the islands.
Source Coverage Map
8 of 43 tracked sources covered this story
Following this story?
Get notified when new coverage appears
Other Sources Covering This Story
5 sourcesMultiple outlets have reported on this story. Compare perspectives from different sources.

‘Extremely Dangerous’ Super Typhoon Barrels Toward Northern Mariana Islands - The New York Times

Why a powerful storm in the Western Pacific may be a concerning sign - The Washington Post

Super Typhoon Sinlaku could bring significant impacts to US islands in Pacific Ocean

Monster typhoon in the Pacific Ocean is bearing down on group of remote U.S. islands
This article is part of a story we're tracking:
Should this be getting more attention?
You Might Have Missed
Related stories from different sources and perspectives
EnvironmentStrongest storm on planet bearing down on U.S. islands in Western Pacific - San Francisco Chronicle
EnvironmentEnvironmental groups urge appeals court panel to lift halt on closing Florida's 'Alligator Alcatraz' - AP News
<a href="https://news.google.com/rss/articles/CBMiqwFBVV95cUxNaXVFZ0FGVEhvV2xhcGdUblZDem16Si1sZkVsU3FOSGxBQmJ0NFozdV9ScWtURE5yZGtJSkxIZVFDWHhXcjFGOC1tN1hLcWdTUXVzelNoY1pJZmVxY3llSFZ5a2I2ZFJETmJpcXpIbE1fLTB4aXFtQks4djFLSnU0QUtWamxQOG5GUWFJeXdwSjdQeFFoU0FsSlRHdGc0X005U1BQeTNrTWNVYTA?oc=5" target="_blank">Environmental groups urge appeals court panel to lift halt on closing Florida's 'Alligator Alcatraz'</a> <font color="#6f6f6f">AP News</font>
PoliticsDemocrats tackle outside groups flooding their primaries with campaign cash - AP News
<a href="https://news.google.com/rss/articles/CBMiswFBVV95cUxQaWdBblZJSW90OC1Pa3FydmpnVC1TczZGWmdUaWYwOGoxcVdKLXBkU2RkcWdXdlpBdERLQVJtMjFtV1ptNUZfWk53ajdxcVRqQ0oyRHI3eEV4cWlNT3I2OTZXMUJkX1N1T1dXSjdzUThYeXV3eHh6MTFwd2hxcUg0U3ZnSVZDWDA2MVdBakZ0YXJaUUFXZW9JLXJJTXFsZGZZRVMweFhlVXFrdUplNWJ5X3JPZw?oc=5" target="_blank">Democrats tackle outside groups flooding their primaries with campaign cash</a> <font color="#6f6f6f">AP News</font>
GlobalCosta Rica receives first group of deported migrants under third-country agreement with US - Reuters
<a href="https://news.google.com/rss/articles/CBMixgFBVV95cUxNNFBMVzZEQUFaR21PbXRPQ0JZclpyV2FyYzdZRUZYRnY2NzJ3VjBIN2FmOGNNcXRUZ0FjNXFzeUtvUXU4VzBNOE5GVk1Gc3JJSFM5ZVpQTlB5Wi1sb3NBNFhVakJQVm91eDJBalg2czdFRnctYWVxa0Nvd1JLRFZid2ZpYjBnRVcweWkxZXViUFBfc3MzLUNicFZtRHFXUDJoR19rT0N5cUJtSFFiYVdCYnByVDltNVBtSmFwc2NPcGVkemVQT1E?oc=5" target="_blank">Costa Rica receives first group of deported migrants under third-country agreement with US</a> <font color="#6f6f6f">Reuters</font>
GlobalFamily missing for 7 days found alive by U.S. Coast Guard in Pacific
A family of three was found alive by the U.S. Coast Guard, seven days after they went missing on a small boat in the western Pacific Ocean.
EnvironmentViolent split in chimpanzee group offers clues on roots of human conflict: Research
Researchers have documented a permanent split between the largest-known group of wild chimpanzees, which erupted into a lethal civil war over the past several years — findings that could help scientists better understand the roots of human conflict. The study, published Thursday in the Science journal, traced 30 years of chimp behavior in Kibale…

Gray whales are dying in San Francisco Bay at an alarming rate – this isn’t normal
In the past, the gray whale population recovered fairly quickly. But data on baby whales show that isn’t happening, and a new study finds an alarmingly high mortality rate.
Did this story change how you see things?
Stories like this only matter when people see them. Help us get verified journalism in front of more eyes.
The Verity Ledger curates verified investigative journalism from trusted sources only.
See our sourcesMost Read This Week
Automatic registration for US military draft to begin in December

There's growing disquiet in the military. The Iran war made it worse

US considers new crackdown on Chinese telecom companies - Reuters

DOJ’s Civil Rights Division Investigates Cassidy Hutchinson, Who Testified Against Trump

British man charged with directing Somalia-based terror group


